B734, Zurich Switzerland, 2013
B734, Zurich Switzerland, 2013
Summary
On 11 October 2013, the commander of a Boeing 737-400 taxiing on wet taxiways at night after landing at Zurich became uncertain of his position in relation to the clearance received and when he attempted to manoeuvre the aircraft off the taxiway centreline onto what was believed to be adjacent paved surface, it became bogged down in soft ground. The Investigation considered the direct cause of the taxiway excursion was not following the green centreline lights but it recommended improvements in the provision of clear and consistent taxi instructions and in taxiway designations in the area of the event.
Event Details
When
11/10/2013
Day/Night
Night
Flight Conditions
On Ground - Normal Visibility
Flight Details
Aircraft
Operator
Type of Flight
Public Transport (Passenger)
Flight Origin
Intended Destination
Take-off Commenced
Yes
Flight Airborne
No
Flight Completed
No
Phase of Flight
Taxi
Location
Location - Airport
Airport
General
Tag(s)
Inadequate Airport Procedures
HF
Tag(s)
Ineffective Monitoring,
Procedural non compliance,
Spatial Disorientation
GND
Tag(s)
Centreline obscured,
Accepted ATC clearance not followed
Outcome
Damage or injury
Yes
Non-aircraft damage
Yes
Non-occupant Casualties
No
Off Airport Landing
Yes
Ditching
Yes
Causal Factor Group(s)
Group(s)
Aircraft Operation
Air Traffic Management
Airport Operation
Safety Recommendation(s)
Group(s)
Airport Management
Investigation Type
Type
Independent
Description
On 11 October 2013, a Boeing 737-400 (TC-TLE) being operated by Tailwind Airlines on a passenger charter flight from Antalya to Zurich as TWI 327 was unintentionally taxied off the wet paved surface in normal ground visibility at night after landing at Zurich. The aircraft became stuck in soft ground and the 166 passengers and crew were disembarked to buses and taken to the Terminal. The undamaged aircraft was subsequently de-fuelled and recovered to the paved surface.
Investigation
An Investigation was commenced by the Swiss Accident Investigation Board (SAIB) which was subsequently replaced by the new Swiss Transportation Safety Investigation Board (STSB) during the course of the work. Recorded data relevant to the Investigation was recovered from both the FDR and CVR.
Both pilots were generally familiar with Zurich and had accumulated the majority of their total flying experience on the Boeing 737 type. Because the aircraft only has a nosewheel steering tiller at the left pilot seat, the Captain was obliged to control the aircraft when taxiing even though the First Officer had been designated as PF for the flight.
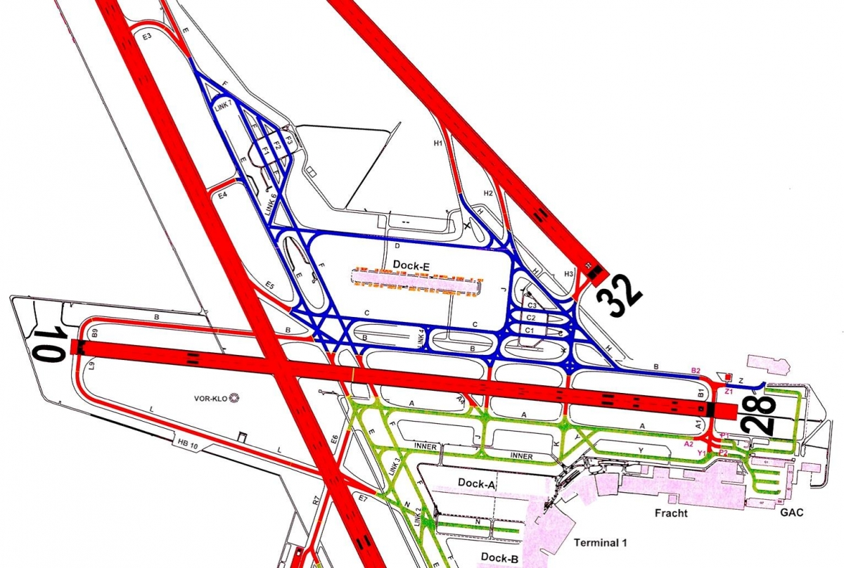
It was established that, after a normal landing on runway 34, the crew had checked in with 'Zurich Apron' on transfer from TWR whilst moving slowly at the intersection of taxiway E3 and taxiway E (see the diagram below). They had then received and correctly acknowledged an instruction to "taxi via Foxtrot and Charlie to stand Echo two six." The aircraft moved onto taxiway F, following the taxiway signs and continued past de-icing lanes F1 and F2 maintaining an appropriate speed of appropriately 10 knots.

The airport layout showing the TWR traffic management area in red, Apron North in blue and Apron South in green (reproduced from the Official Report)
The Captain subsequently stated that he had seen the mound of earth south of the de-icing pad at the same time as the aircraft passed the centre line lights for de-icing lane F2. Since he had not been sure whether this would restrict the taxi clearance, he decided to turn right and cross De-Icing Pad F in order to join taxiway F to the south of it, unaware of the areas of grass between the de-icing lanes. As the nose landing gear left the paved surface, it sank into the grassed soft ground between de-icing lanes F2 and F3 and the de-icing pad paved area. The Apron Controller, realising that the aircraft was no longer moving, queried the situation with the crew. Initially, a tug was dispatched but eventually, it became obvious that the aircraft would not be able to be moved until its weight had been materially reduced and so the engines were shut down. Arrangements were made to disembark the passengers to buses and transfer their hold baggage to other vehicles but the buses did not arrive until an hour after the excursion had occurred.
It was noted that at the time of excursion, construction work which had temporarily created large mounds of earth up to 12 metres high was in progress to create a new "Echo North" parking area between de-icing pad F and dock E (midfield terminal). It was these which the Captain had reported seeing as he had approached de-icing lane F3.

The de-icing pad F for aircraft departing from runway 16 showing the three de-icing lanes F1, F2 and F3 (reproduced from the Official Report)
It was noted that an Airport Authority Safety Assessment in respect of the change of designation of taxiway F to F1 only whilst it was passing though the de-icing pad carried out in 2011 had concluded that the risk of confusion was "tolerable". Although the arrangement was endorsed during a subsequent audit by the Federal Office of Civil Aviation (FOCA), their July 2013 Report on the audit noted that "certain hazards still exist with regard to inconsistent signage and instructions to pilots by Apron Control" in respect of de-icing pad F and a re-analysis of the arrangements there was required to be submitted not later than the end of April 2014.
It was noted that extant instructions to Apron Control on the use of taxiways 'E' and 'F' when runway 34 was in use for landings included the general guidance that landing traffic clearing the runway at E5 should "generally be directed as quickly as possible onto TWY F in order to keep TWY E clear for landing aircrafts which vacate runway 34 via TWY E4, E5 or B".
It was also noted that there was a lack of consistency and uniformity in respect of the depiction of taxiway designations around de-icing pad F on both plans and drawings and on the various charts which flight crew may be using. It was explicitly recognised that for chart providers, the current State AIPs guidelines "are inadequate and represent room for ambiguity". It was also explicitly recognised that since taxiway F was not continuously designated and de-icing lane F1 was not mentioned as part of the clearance, the southbound taxi clearance issued to the aircraft in this case "was unclear" and therefore contributed to the occurrence of the serious incident.
The Investigation considered the Captain's repeated initial use of high power settings exceeding 80% N1 to try and get the aircraft back onto the paved surface after the excursion and concluded that his actions in this respect "were not appropriate to the situation and subject to risk".
It was also noted that the wet surface of the taxiways, de-icing lanes and the de-icing pad "led to reflections which hindered recognition of the edge of the asphalt". The fact that the centre line lights of all three de-icing lanes F1, F2 and F3 were simultaneously and identically illuminated was considered unhelpful as was the fact that neither taxiway F nor de-icing lanes F1, F2 and F3 had blue edge lights.
The Investigation determined that the Cause of the Serious Incident was that "the flight crew did not follow the green centre line lights (and) subsequently the aircraft left the hard surface and came to a standstill in the adjacent soft ground".
The following Contributory Factors were also identified:
- The taxi clearance contained no information regarding which de-icing-lane to follow when crossing the de-icing pad.
- The de-icing lanes were not equipped with taxiway edge lights.
It was noted that no Safety Action had been taken by any party involved as a result of the event.
One Safety Recommendation was made as a result of the Investigation as follows:
- that the Federal Office of Civil Aviation (FOCA), in cooperation with those responsible for operations at Zurich Airport, should take appropriate measures so that crews can follow the prescribed taxiways using clear and consistent instructions and designations. [No. 485]
The Final Report was completed on 9 February 2015, approved by the recently-instituted Swiss Transportation Safety Investigation Board (STSB) on 21 April 2015 and published by them on 1 May 2015.
Related Articles
- Taxiway Surface Markings and Signs
- Visual Illusions
- Pilot Perception
- Situational Awareness
- Safety Risk Assessment
Further Reading
- How to design a simple, safe and efficient taxiway designation system, G. le Bris and M. Kintzler, Hindsight Magazine (vol 21) article, EUROCONTROL, July 2015







