B738 / A319, Dublin Ireland, 2010
B738 / A319, Dublin Ireland, 2010
Summary
On 16 October 2010, in day VMC, a Boeing 737-800 being operated by Turkish Airlines on a passenger flight from Dublin to Istanbul entered runway 28 at Dublin whilst an Airbus A319 being operated by Germanwings on a scheduled passenger flight from Koln to Dublin was about 0.5nm from touchdown on the same runway. The Airbus immediately initiated a missed approach from approximately 200 ft aal simultaneously with an ATC call to do so.
Flight Details
Aircraft
Operator
Type of Flight
Public Transport (Passenger)
Flight Origin
Intended Destination
Take-off Commenced
Yes
Flight Airborne
Yes
Flight Completed
Yes
Phase of Flight
Taxi
Flight Details
Aircraft
Operator
Type of Flight
Public Transport (Passenger)
Flight Origin
Intended Destination
Take-off Commenced
Yes
Flight Airborne
Yes
Flight Completed
Yes
Phase of Flight
Landing
Location
Location - Airport
Airport
General
Tag(s)
Aircraft-aircraft near miss,
Inadequate Aircraft Operator Procedures
HF
Tag(s)
Distraction,
Ineffective Monitoring,
Procedural non compliance
RI
Tag(s)
Accepted ATC Clearance not followed,
Incursion pre Take off
Outcome
Damage or injury
Yes
Non-aircraft damage
Yes
Non-occupant Casualties
No
Off Airport Landing
Yes
Ditching
Yes
Causal Factor Group(s)
Group(s)
Aircraft Operation
Safety Recommendation(s)
Group(s)
Aircraft Operation
Airport Management
Investigation Type
Type
Independent
Description
On 16 October 2010, in day Visual Meteorological Conditions (VMC), a Boeing 737-800 being operated by Turkish Airlines on a passenger flight from Dublin to Istanbul Atatürk entered runway 28 at Dublin whilst an Airbus A319 being operated by Germanwings on a scheduled passenger flight from Koln to Dublin was about 0.5nm from touchdown on the same runway. The Airbus immediately initiated a missed approach from approximately 200 ft aal simultaneously with an ATC call to do so.
Investigation
An Investigation was carried out by the Irish AAIU. It was established that the Boeing 737 had entered the runway without an ATC clearance to do so and the Airbus A319 had been cleared to land. It was also noted that the holding point which was the clearance limit was a combined holding point for entry to the full length of both Runway 28 and Runway 34.
It was noted that all surface markings and signage relevant to the incursion was in accordance with ICAO Annex 14 and that although Advanced Surface Movement Guidance and Control System incorporating RIMCAS had been activated at Dublin by the time of completion of the Investigation, it was not available at the time of the Incident.
The Investigation concluded that the aircraft commander of the Boeing 737 “was distracted by ‘heads-in’ tasks inside the cockpit during the taxi and did not correctly see and interpret the signage for the combined holding position of RWY 34 and CAT I RWY 28”.
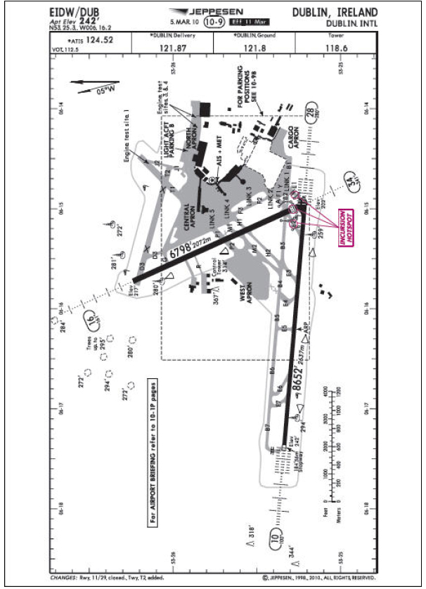
At the time of the Incident, the holding position for RWY 28 on TWY E1 was designated as an “Incursion Hotspot” in the Jeppesen Manual, which was being used by the Boeing 737 crew. The Chart concerned reproduced in the Official Report is shown below:

EIDW Airport Chart
The Operations Manual of Turkish Airlines was found to contain no specific procedure for a flight crew to verbally cross-check with each other that they had received clearance to enter or cross a runway.
The Investigation determined that the Probable Cause of the Incident was that:
“the crew of (the Boeing 737) did not comply with their taxi clearance limit as issued by ATC, and the aircraft entered an active runway without permission.
It was also determined that there were three Contributory Factors:
- Distraction of the crew of (the Boeing 737) during the taxi by head-down cockpit tasks. The Operator’s Operations Manual states that, while taxiing, “both pilots must be very careful about the environment”.
- Misinterpretation by the crew of (the Boeing 737) of a statement concerning a further holding position in their Jeppesen Manual.
- The absence of a verbal cross-check procedure for runway entry in the Operations Manual of (the Boeing 737)
A total of 6 Safety Recommendations were made as a result of the Investigation:
- That Turkish Airlines should consider an amendment to their Operations Manual Part-B Chapter 2 Normal Procedures to ensure that the handling pilot maintains an external look-out at all times during taxi. (IRLD2011018)
- That Turkish Airlines should consider an amendment to their Operations Manual Part-B Chapter 2 Normal Procedures to include a verbal cross-check between crew members when an aircraft is about to enter or cross a runway, whether active or non-active. (IRLD2011019)
- That the Dublin Airport Authority, in conjunction with the Irish Aviation Authority, should consider originating an amendment of AIP Ireland, Section EIDW AD 2.20, paragraph 8.4, to clarify the statement “A further holding position is established on RWY 16/34”. (IRLD2011020)
- That Dublin Airport Authority, in conjunction with the Irish Aviation Authority, should consider originating an amendment of AIP Ireland, Section EIDW AD 2.20, to include a statement that the holding position for RWY 34 on TWY E1 is combined or co-located with the Cat I holding position for RWY 28 on TWY E1. (IRLD2011021)
- That the Dublin Airport Authority, in conjunction with the Irish Aviation Authority, should consider the provision of stopbar lights on TWY E1 at the combined holding position for RWY 34 and RWY 28 Cat I. (IRLD2011022)
- That the Irish Aviation Authority should consider the inclusion of a reference to both RWYs 28 and 34 in ATC instructions to aircraft taxiing in the area of the combined runway holding position. (IRLD2011023)
Safety Action in respect of three of Recommendations (3), (4) and (5) is noted in the Report.
The Final Report: Serious Incident REPORT, Boeing 737-8F2, TC-JGG, Airbus 319, D-AGWJ Dublin Airport, Co. Dublin 16 October 2010 of the Investigation was published on 11 November 2011.







