B752, Newark NJ USA, 2006
B752, Newark NJ USA, 2006
Summary
On 28 October 2006, a Boeing 757-200 being flown by two experienced pilots but both with low hours on type was cleared to make a circling approach onto runway 29 at Newark in night VMC but lined up and landed without event on the parallel taxiway. They then did not report their error and ATC did not notice it after Airport Authority personnel who had observed it advised ATC accordingly, the pilots admitted their error.
Flight Details
Aircraft
Operator
Type of Flight
Public Transport (Passenger)
Flight Origin
Intended Destination
Take-off Commenced
Yes
Flight Airborne
Yes
Flight Completed
Yes
Phase of Flight
Landing
Location
Location - Airport
Airport
General
Tag(s)
Circling Approach,
Copilot less than 500 hours on Type,
Event reporting non compliant
HF
Tag(s)
Manual Handling,
Violation,
Ineffective Monitoring - SIC as PF
RI
Tag(s)
Accepted ATC Clearance not followed
Outcome
Damage or injury
Yes
Non-aircraft damage
Yes
Non-occupant Casualties
No
Off Airport Landing
Yes
Ditching
Yes
Causal Factor Group(s)
Group(s)
Aircraft Operation
Safety Recommendation(s)
Group(s)
None Made
Investigation Type
Type
Independent
Description
On 28 October 2006, a Boeing 757-200 being operated by Continental Airlines on a scheduled passenger flight from Orlando FL to Newark made a landing at destination in night Visual Meteorological Conditions (VMC) on the parallel taxiway next to the runway for which landing clearance had been issued. The flight crew did not report their error and ATC did not notice it but staff of the Airport Operator had observed it and advised ATC accordingly, after which the flight crew admitted their error.
Investigation
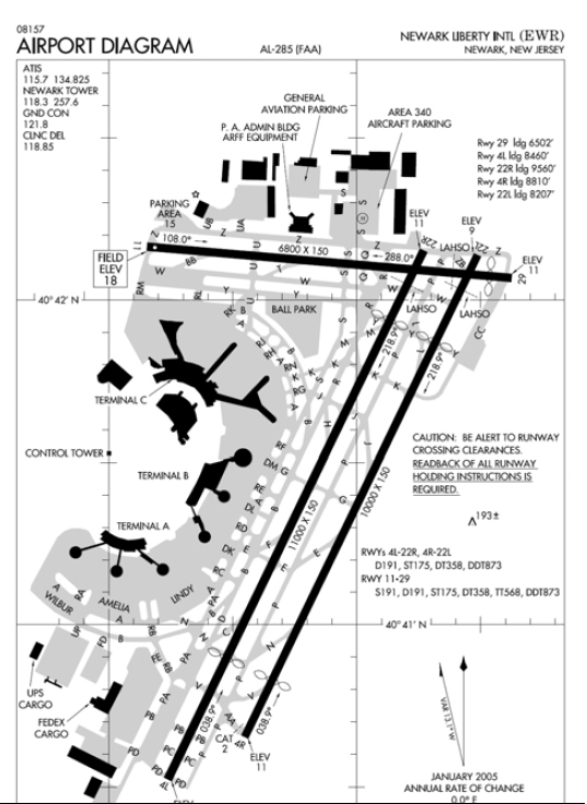
An investigation was carried out by the National Transportation Safety Board (USA) (NTSB). It was established that the flight, with the First Officer as PF, had initially been assigned an ILS approach to Runway 22L at destination but were later, at altitude of approximately 8,000 - 9,000 feet, instructed that they should expect to "circle to land on runway 29." The First Officer disconnected the autopilot on intercepting the ILS 22L GS at an altitude of 3,000 feet continued towards the OM on the ILS Runway 22L approach before de-selecting the FD. By about 900 feet aal, the aircraft was lined up with what the First Officer took to be final approach for Runway 29. The Visual Approach Slope Indicator Systems was noted on the left side of the ‘runway’. Forward visibility was good in night VMC. Touchdown on the Taxiway ‘Z’ which is the parallel taxiway to the north of Runway 29, was normal and an eye witness noted that it occurred near the intersection between Taxiway ‘Z’ and Taxiway ‘R’. The aircraft commander reported that as the First Officer selected the thrust reversers, he realised that they had landed on the Taxiway and took control before taxiing to the gate. A Government Inspector advised that at the time of the landing, all lighting systems for runway 29 and taxiway Zulu were illuminated and operating normally.
It was noted that Runway 29 was a 2,100 metre long 46 metre wide asphalt runway, equipped with high-intensity runway edge lights (HIRL) which were set on minimum intensity at the time of the incident and that it also had Centerline and Runway End Identifier Lights, both of which were on at the time of the approach.

KEWR Airport Diagram, January 2005
The Runway 29 PAPI was located on the right hand side of the runway, as described in the AIPs entry. Taxiway ‘Z’ was a 23 metre wide concrete taxiway with green Centerline lights which were set to mid-intensity and blue reflective edge markers.
Both Flight crew were experienced generally but both had relatively low experience on type.
Probable Cause
The NTSB determined that the probable cause of the event was “The flight crew's misidentification of the parallel taxiway as the active runway, resulting in the flight crew executing a landing on the taxiway. Contributing was the night lighting conditions.”
The Final Report of the Investigation was approved on 31 March 2008 and may be seen at SKYbrary bookshelf: NYC07IA015
No Safety Recommendations were made.
Related Articles
- Runway Excursion
- Wrong Runway Use
- Runway Identification
- Situational Awareness
- Monitoring Skills (OGHFA BN)
- Vision (OGHFA BN)







